Rainbow Bay Eleuthera Lot For Sale
Property Details
Island: Eleuthera
Lot Size: 14,000 sq. ft.
Living Area: 0 sq. ft.
Property Type: n/a
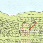
Lot 31 Blk 45 Sec C is an oversized lot located in the development of Rainbow Bay in North Central Eleuthera. There are several beautiful beaches, park sites, boat ramps, a hotel, restaurant and more. This property is an excellent place to build your dream home!
This community is situated in a convenient area with nearby grocery stores and other amenities for your comfort. The Governors Harbour Airport is only a 15-minute drive south. Call Andrew Berlanda on 242-427-3588 today for more detailed information!
Nearby Listings
Bahama Real Estate Association
The Bahamas Real Estate Association is not responsible for the accuracy of the information listed above. The data relating to the real estate for sale or lease on this website comes in part from the Internet Data Exchange Program (IDX) and the Bahamas MLS, and is provided here for consumer’s personal, non-commercial use. It may not be used for any purpose other than to identify prospective properties consumers may be interested in purchasing or leasing. Real Estate listings held in brokerage firms other than the office owning this website are marked with the IDX logo on the short inquiry. Data provided is deemed reliable but not guaranteed. This information is protected by copyright and all rights reserved. This property is shown courtesy of The Bahamas MLS.
