HILLSIDE PLACE,South Ocean
For Sale Only
Property Details
Price: $175,000
Address: HILLSIDE PLACE,South OceanIsland: New Providence/Paradise Island
MLS#: 62074
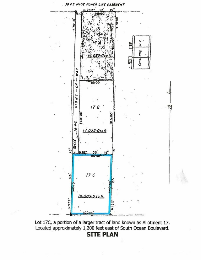
Lot Size: 14,009 sq. ft.
Living Area: 14,009 sq. ft.
Property Type: Lots/Acreage
This Multi-Family lot in South Ocean is an investment opportunity for an apartment complex. This measures at 14,009 SQFT and is also an elevated lot. Schedule a viewing with us today.
Nearby Listings
Bahama Real Estate Association
The Bahamas Real Estate Association is not responsible for the accuracy of the information listed above. The data relating to the real estate for sale or lease on this website comes in part from the Internet Data Exchange Program (IDX) and the Bahamas MLS, and is provided here for consumer’s personal, non-commercial use. It may not be used for any purpose other than to identify prospective properties consumers may be interested in purchasing or leasing. Real Estate listings held in brokerage firms other than the office owning this website are marked with the IDX logo on the short inquiry. Data provided is deemed reliable but not guaranteed. This information is protected by copyright and all rights reserved. This property is shown courtesy of The Bahamas MLS.
